Home Company profile Residential Commercial Childcare
Agnes Waters First Point DIY House Max Fitness Contact us
Residential Projects
Current Projects
Past Projects
 
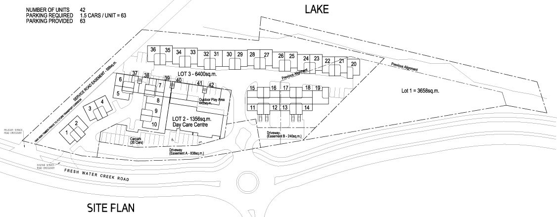
Mango Hill

Mango Hill Qld 4509
This 42 townhouse development adjoins the prestigious Kids Capers Childcare centre. The townhouses overlook a small lake and are elevated to capture the afternoon breezes. Located next to the local school and a 2 minute drive to Northlakes, it is also next to the proposed new train line for Mango Hill. Do you get a better location for your new townhouse?


Register your details in the form below or contact
Name
Phone
Email
How would you like us to contact us ?PhoneEmail
Property enquiry
Comments
 
 
 


Company profile | Residential | Commercial | Childcare | News | Contact us
© Australian National Homes Developments 2007